Boddenkampsingel 98, 7514AR ENSCHEDE
Vraagprijs: € 415.000,- k.k.
Omschrijving
Royale en te moderniseren twee-onder-een-kapwoning aan de levendige Boddenkampsingel, gelegen op een ruime kavel en dichtbij de Enschedese binnenstad!
Wonen aan één van de mooiste singels van Enschede: groen, ruim opgezet en met voldoende parkeergelegenheid in de straat. De ligging is ideaal voor iedereen die graag dichtbij alle voorzieningen woont. Op korte afstand vind je de binnenstad van Enschede en winkelcentrum Roombeek, daarnaast bevinden zich in de directe omgeving basisscholen, sportvoorzieningen, speelgelegenheden en diverse dagelijkse voorzieningen.
Een heerlijke woonomgeving voor jonge gezinnen én voor iedereen die van wat levendigheid houdt. Bovendien zijn zowel het centrum als het Enschedese buitengebied binnen enkele minuten te bereiken.
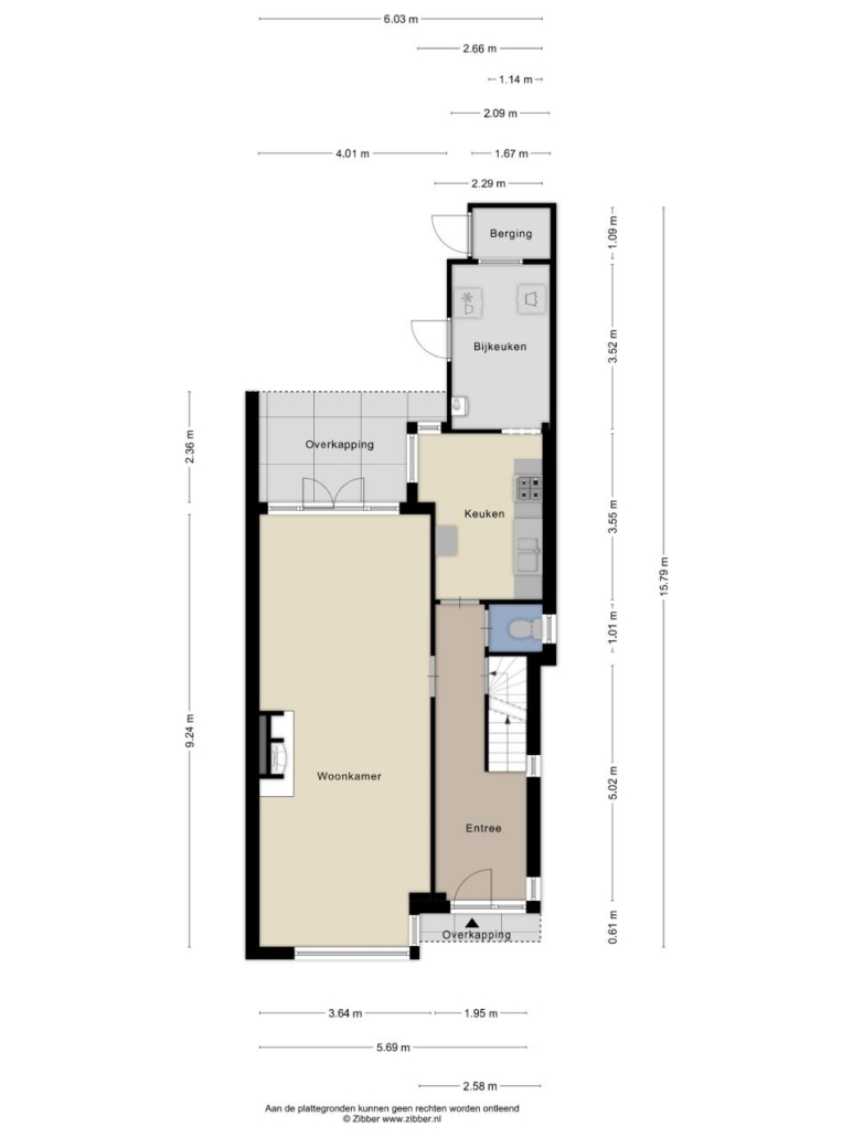
De woning beschikt over een woonoppervlakte van 141 m², een inhoud van 519 m³ en staat op een royaal perceel van 245 m². De verrassend ruime indeling en de grote raampartijen zorgen voor veel lichtinval en een uitnodigende sfeer in de woonkamer. De keuken bevindt zich in de uitbouw aan de achterzijde en kan naar eigen smaak gemoderniseerd worden.
Op de verdiepingen zijn twee ruime slaapkamers aanwezig, met de mogelijkheid om op eenvoudige wijze meerdere extra kamers te realiseren. De tuin is netjes aangelegd: de beschutte voortuin biedt extra privacy, terwijl de diepe achtertuin op het zuidoosten een prettige combinatie biedt van zowel zon- als schaduwplekken.
Indeling:
Begane grond:
Entree met hal, toiletruimte, meterkast en trapopgang. De lichte woonkamer aan de voorzijde biedt een vrij uitzicht over de straat. De keuken in de uitbouw is uitgerust met o.a. gaskookplaat, oven en koelkast en geeft ruimte voor een royale eethoek bij de achtergevel. Vanuit de keuken zijn de bijkeuken en de berging bereikbaar. De achtertuin is zowel vanuit de woonkamer als vanuit de bijkeuken te bereiken. Aan de achtergevel vind je een sfeervolle overkapping waar je geniet van zowel de voor- als namiddagzon, terwijl je in de hoogzomer juist kunt ontspannen in de aangename schaduw en verkoelende luwte.
Eerste verdieping:
Overloop met toegang tot de ruime slaapkamer met een vast kast en biedt toegang tot het balkon. De te moderniseren badkamer is volledig betegeld en voorzien van een inloopdouche, bad, wandcloset en twee wastafels.
Tweede verdieping:
Via vaste trap bereikbaar. Grote zolder met cv ketel en biedt volop bergruimte en toegang tot de tweede slaapkamer. Door de royale nokhoogte en vloeroppervlakte is hier eenvoudig een extra slaapkamer te realiseren.
Buiten:
De voortuin is fraai aangelegd en biedt veel privacy. De achtertuin is ruim, netjes en dankzij de zuidoostelijke ligging de hele dag voorzien van fijne zon- én schaduwplekken. Een ideale tuin voor liefhebbers van groen en buitenleven.
Bijzonderheden:
- Bouwjaar: 1938;
- Woonoppervlakte: 141 m²;
- Perceeloppervlakte: 245 m²;
- Energielabel E;
- Te moderniseren twee-onder-een-kap woning;
- Nabij het buitengebied gelegen, maar toch op vijf fietsminuten van de binnenstad;
- Te moderniseren keuken en badkamer;
- Twee ruime slaapkamers, potentieel ruimte voor 4 á 5 slaapkamers;
- Ruime tuin met overkapping, gelegen op het zuidoosten.
Kortom: Een ruime twee-onder-een-kapwoning op een fantastische locatie aan de Boddenkampsingel, met veel potentie om geheel naar eigen wens te moderniseren. Ideaal voor wie op zoek is naar ruimte, licht, een diepe tuin en wonen nabij het bruisende hart van Enschede.
Interesse gekregen in deze woning, maak dan snel een afspraak!
Bijzonderheden koopovereenkomst:
- Er is pas sprake van een rechtsgeldige koopovereenkomst als de particuliere verkoper en de particuliere koper de koopovereenkomst hebben ondertekend (schriftelijkheidsvereiste).
Een bevestiging van de mondelinge overeenstemming per e-mail of een toegestuurd concept van de koopovereenkomst wordt niet gezien als een "ondertekende overeenkomst";
- Er wordt ten behoeve en op verzoek van verkoper een bankgarantie/waarborgsom van 10% van de koopsom opgenomen;
- Er wordt een ouderdoms-, en asbestclausule en een verkoper geen bewoner clausule in de te sluiten koopovereenkomst opgenomen.
- De keuze van de notaris is voorbehouden aan verkoper. De levering zal plaatsvinden bij Wilbrink & Den Otter Notarissen te Hengelo.
Interesse in dit huis? Schakel direct uw eigen NVM-aankoopmakelaar in. Uw NVM-aankoopmakelaar komt op voor uw belang en bespaart u tijd, geld en zorgen.
Adressen van collega NVM-aankoopmakelaars in Twente vindt u op Funda.nl
Aan deze objectinformatie kunnen geen rechten worden ontleend en deze informatie kan niet als aanbieding of offerte worden beschouwd. Indien u een aanbieding wenst, kan de makelaar deze, na goedkeuring door de opdrachtgever, op basis van specifieke gegevens verzorgen.
Kenmerken
Overdracht
- Vraagprijs
- € 415.000,- k.k.
- Aangeboden sinds
- 20 maart 2026
- Status
- beschikbaar
Bouw
- Type
- Woonhuis
- Soort woning
- eengezinswoning
- Type woning
- 2-onder-1-kapwoning
- Bouwjaar
- 1938
- Ligging
- aan drukke weg
Oppervlakten en inhoud
- Woonopp.
- 141 m²
- Perceelopp.
- 245 m²
- Inhoud
- 519 m³
Indeling
- Kamers
- 3
- Slaapkamers
- 2
Energie
- Energielabel
- E
Buitenruimte
- Tuin oppervlakte
- 163
- Tuin
- achtertuin, voortuin
- Hoofd tuin
- achtertuin
- Hoofd tuin opp.
- 143 m²
- Tuin ligging
- oost, zuid
Parkeergelegenheid
- Garage
- geen garage



