Leijdsweg 62, 7533VN ENSCHEDE
Vraagprijs: € 175.000,- k.k.
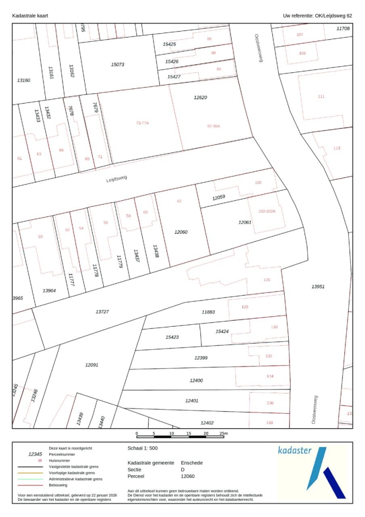
Omschrijving
In de wijk Velve - Lindenhof in Enschede bieden wij u deze bedrijfsruimte met een oppervlakte van ca. 250 m² te koop aan. Het object is in 2014 in zijn geheel gemoderniseerd en uitermate geschikt is voor opslag- en/of lichte productiedoeleinden. Voor het object is er ruime parkeergelegenheid aanwezig.
Oppervlakte:
Ca. 250 m² bedrijfsruimte.
Locatie:
Het bedrijfsobject is gelegen in de woonwijk Velve - Lindenhof - 't Wooldrik in Enschede. In de directe omgeving zijn er wel enkele bedrijven gevestigd.
Voorzieningen:
Bedrijfsruimte:
- Rolluik;
- Verlichtingsarmaturen;
- Verwarming middels C.V.-installatie;
- Tegelvloer;
- Bar/kantine;
- Lichtkoepels;
- Vrije hoogte deels ca. 3 meter.
Bereikbaarheid:
Door de ligging in de directe nabijheid van de Oliemolensingel en de Gronausestraat is het object uitstekend bereikbaar.
Parkeergelegenheid:
Er is voldoende parkeergelegenheid voor het object.
Bestemmingsplan:
Het object maakt deel uit van bestemmingsplan "Velve - Lindenhof - 't Wooldrik" en heeft de bestemming "Bedrijf".
Vraagprijs:
€ 175.000,-- k.k.
Aanvaarding:
In overleg.
Aan deze objectinformatie kunnen geen rechten worden ontleend en deze informatie kan niet als aanbieding of offerte worden beschouwd. Indien u een aanbieding wenst, kan de makelaar deze, na goedkeuring door de opdrachtgever, op basis van specifieke gegevens verzorgen.
Kenmerken
Overdracht
- Vraagprijs
- € 175.000,- k.k.
- Aangeboden sinds
- 28 januari 2026
- Status
- beschikbaar
Bouw
- Type
- Bedrijfsruimte
- Bouwjaar
- 1979

