Zaagmolenweg 12, 7204HJ ZUTPHEN
Vraagprijs: € 275.000,- k.k.
Omschrijving
Karakteristieke uitgebouwde tussenwoning met zonnige stadstuin.
Aan de Zaagmolenweg, op loopafstand van het historisch centrum van Zutphen, wordt deze uitgebouwde tussenwoning met vrijstaande stenen berging te koop aangeboden. De woning is gebouwd in 1910. De woning is voorzien van rolluiken, heeft een besloten stadstuin op het zuiden en ligt op een gunstige locatie nabij voorzieningen.
Indeling:
Begane grond:
Via de entree komt u in de hal met toiletruimte, voorzien van een toilet en fonteintje. De ruime en lichte woonkamer heeft een grenenvloer en een voorzethaard. Vanuit de woonkamer is er toegang tot de royale kelder van circa 15 m², ideaal als provisie- of wijnkelder. De halfopen keuken in dubbele lengte-opstelling is uitgevoerd met een Estrikken vloer en voorzien van een 4-pits gaskookplaat, afzuigkap en koelkast. Vanuit de keuken bereikt u direct de zonnige tuin.
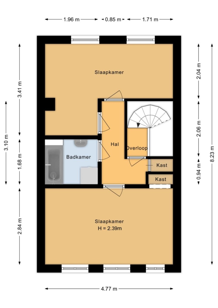
1e verdieping:
De overloop met tochtportaal en inbouwkast geeft toegang tot twee comfortabele slaapkamers, waarvan één met vaste kast. De lichte badkamer is uitgerust met een ligbad, wastafel en wasmachineaansluiting.
Buiten:
De besloten stadstuin ligt heerlijk op het zuiden, waardoor u de hele dag van de zon kunt genieten. Achterin de tuin staat een royale vrijstaande stenen berging met elektra, perfect voor fietsen of gereedschap. De tuin beschikt bovendien over een praktische achterom.
Bijzonderheden
Bouwjaar: 1910
Woonoppervlakte: ca. 86 m²
Geheel voorzien van rolluiken
Vrijstaande stenen berging met elektra
Stadstuin op het zuiden
Op loopafstand van het historisch centrum van Zutphen
Interesse in deze woning? Maak dan snel een afspraak voor een bezichtiging.
Aan deze objectinformatie kunnen geen rechten worden ontleend en deze informatie kan niet als aanbieding of offerte worden beschouwd. Indien u een aanbieding wenst, kan de makelaar deze, na goedkeuring door de opdrachtgever, op basis van specifieke gegevens verzorgen.
Kenmerken
Overdracht
- Vraagprijs
- € 275.000,- k.k.
- Aangeboden sinds
- 02 januari 2026
- Status
- beschikbaar
Bouw
- Type
- Woonhuis
- Soort woning
- eengezinswoning
- Type woning
- tussenwoning
- Bouwjaar
- 1910
- Ligging
- aan rustige weg, in woonwijk
Oppervlakten en inhoud
- Woonopp.
- 86 m²
- Perceelopp.
- 95 m²
- Inhoud
- 350 m³
Indeling
- Kamers
- 3
- Slaapkamers
- 2
Energie
- Energielabel
- E
Buitenruimte
- Tuin oppervlakte
- 95
- Tuin
- achtertuin
- Hoofd tuin
- achtertuin
- Hoofd tuin opp.
- 41 m²
- Tuin ligging
- zuid
Parkeergelegenheid
- Garage
- geen garage


