Wiedenbroeksingel 5, 7481BR HAAKSBERGEN
Vraagprijs: € 775.000,- k.k.
Omschrijving
Op een van de mooiste plekjes aan de Wiedenbroeksingel staat deze riante, vrijstaande Scandinavische woning met garage en royale oprit.
Deze lichte en ruime woning ligt op een prachtig perceel van 1.099 m² en heeft een woonoppervlakte van 223 m². De woning beschikt over vier comfortabele slaapkamers, met potentie voor een vijfde en zelfs een zesde, en twee nette badkamers. Daarnaast biedt de woning een sfeervolle woonkeuken en een heerlijk lichte, aangename woonkamer.
Wonen in een Scandinavische woning, is een unieke ervaring waarin comfort, duurzaamheid en stijl samenkomen. De woning is opgetrokken uit houten balken.
De woning is gebouwd met natuurlijke materialen en biedt een gezond binnenklimaat dankzij de ademende houten constructie, die vocht reguleert en warmte vasthoudt. De uitstekende isolatie zorgt ervoor dat het 's winters behaaglijk warm is en 's zomers aangenaam koel, terwijl het energieverbruik laag blijft. Het Scandinavische design straalt rust, eenvoud en gezelligheid uit, met veel licht, natuurlijke kleuren en een sterke verbondenheid met de natuur. Een manier van wonen die niet alleen milieuvriendelijk is, maar ook dagelijks bijdraagt aan welzijn en geborgenheid.
De woning is gelegen in een rustige straat, op slechts vijf minuten lopen van het prachtige buitengebied van Haaksbergen. Tegelijkertijd bevindt de dorpskern zich op vijf minuten fietsen. Diverse voorzieningen zoals sportverenigingen, sportscholen, (middelbare) scholen en medische faciliteiten zijn eenvoudig bereikbaar.
Indeling van de woning:
Begane grond:
Overdekte entree, hal met meterkast. Via de lange gang zijn alle ruimten bereikbaar. De woonkeuken aan de voorzijde is voorzien van moderne inbouwapparatuur. Vanuit de keuken is er toegang tot de bijkeuken, trap naar de kelder en doorgang naar de garage.
Ruime en lichte woonkamer met dubbelwandige houtkachel en aangrenzende serre.
Via de gang zijn vier slaapkamers bereikbaar, elk met een praktische indeling. De twee badkamers zijn voorzien van een inloopdouche en dubbele wastafel; de hoofdbadkamer beschikt daarnaast over een ligbad en een stoom/douchecabine.
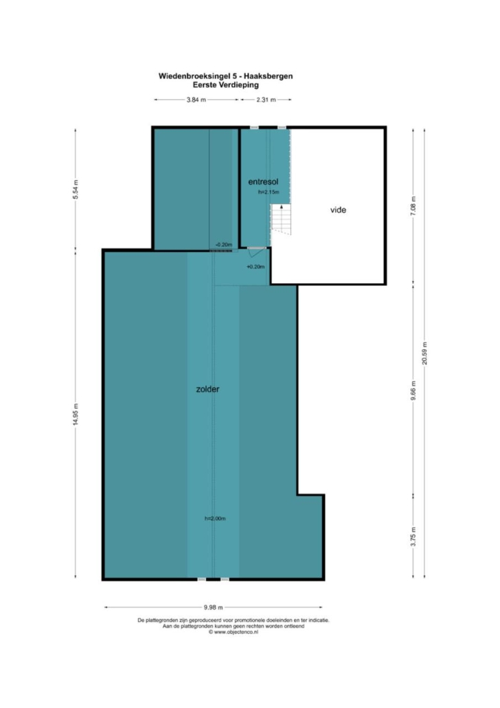
Aan de achterzijde bevindt zich een grote multifunctionele kamer, ideaal als studeer-, speel- of praktijkruimte. Hier is ook de trapopgang naar de zolderverdieping. Via de entresol is de bergzolder bereikbaar, met potentie voor een extra slaapkamer.
Kelder:
Handige bergkelder met doorgang naar de garage.
Buiten:
Aan de ene zijde van de woning bevindt zich een royale oprit met ruimte voor meerdere auto's, aan de andere zijde een garage. De fraai aangelegde tuin rondom de woning biedt volop mogelijkheden om te genieten van zon én schaduw. Het terras met overkapping aan de woonkamerzijde is gelegen op het zuidwesten.
Bijzonderheden:
-Bouwjaar: 1984;
-Woonoppervlakte: ca. 223 m²;
-Perceeloppervlakte: 1.099 m²;
-Energielabel A;
-Scandinavisch wonen is een unieke ervaring waarin comfort, duurzaamheid en stijl samenkomen;
-Sfeervolle woning met veel potentie;
-Diepe oprit met meerdere parkeerplaatsen;
-Riante, fraai aangelegde tuin (op het zuidwesten) rondom de woning.
Kortom:
Een unieke, duurzame en comfortabele woning op een prachtige locatie in Haaksbergen. Met veel ruimte, licht, privacy en een warme Scandinavische uitstraling is dit een thuis waar rust, natuur en modern wooncomfort samenkomen. Ideaal voor gezinnen, thuiswerkers of liefhebbers van stijlvol en gezond wonen.
Interesse gekregen in de woning, maak dan snel een afspraak!
Bijzonderheden koopovereenkomst:
- Er is pas sprake van een rechtsgeldige koopovereenkomst als de particuliere verkoper en de particuliere koper de koopovereenkomst hebben ondertekend (schriftelijkheidsvereiste).
Een bevestiging van de mondelinge overeenstemming per e-mail of een toegestuurd concept van de koopovereenkomst wordt niet gezien als een "ondertekende overeenkomst";
- Er wordt ten behoeve en op verzoek van verkoper een bankgarantie/waarborgsom van 10% van de koopsom opgenomen;
- Er wordt een asbest-/ouderdomsclausule in de te sluiten koopovereenkomst opgenomen.
Interesse in dit huis? Schakel direct uw eigen NVM-aankoopmakelaar in. Uw NVM-aankoopmakelaar komt op voor uw belang en bespaart u tijd, geld en zorgen.
Adressen van collega NVM-aankoopmakelaars in Twente vindt u op Funda.nl
Aan deze objectinformatie kunnen geen rechten worden ontleend en deze informatie kan niet als aanbieding of offerte worden beschouwd. Indien u een aanbieding wenst, kan de makelaar deze, na goedkeuring door de opdrachtgever, op basis van specifieke gegevens verzorgen.
Kenmerken
Overdracht
- Vraagprijs
- € 775.000,- k.k.
- Aangeboden sinds
- 14 november 2025
- Status
- Onder bod
Bouw
- Type
- Woonhuis
- Soort woning
- eengezinswoning
- Type woning
- vrijstaande woning
- Bouwjaar
- 1984
- Ligging
- aan park, beschutte ligging, in bosrijke omgeving, in woonwijk
Oppervlakten en inhoud
- Woonopp.
- 223 m²
- Perceelopp.
- 1.099 m²
- Inhoud
- 1.190 m³
Indeling
- Kamers
- 6
- Slaapkamers
- 4
Energie
- Energielabel
- A
Buitenruimte
- Tuin oppervlakte
- 836
- Tuin
- tuin rondom
- Hoofd tuin
- achtertuin
- Hoofd tuin opp.
- 550 m²
- Tuin ligging
- zuid, west
Parkeergelegenheid
- Garage
- inpandig
- Garage capactiteit
- 1
